王の浜:伊豆大島らしい魚に遭遇できる階段の浜

伊豆大島

■ スポット概要

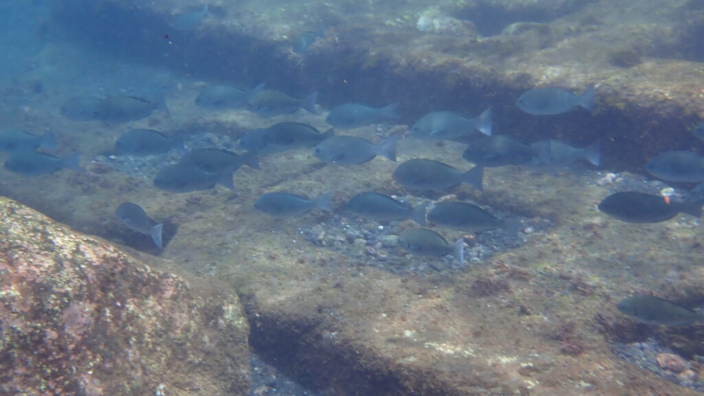
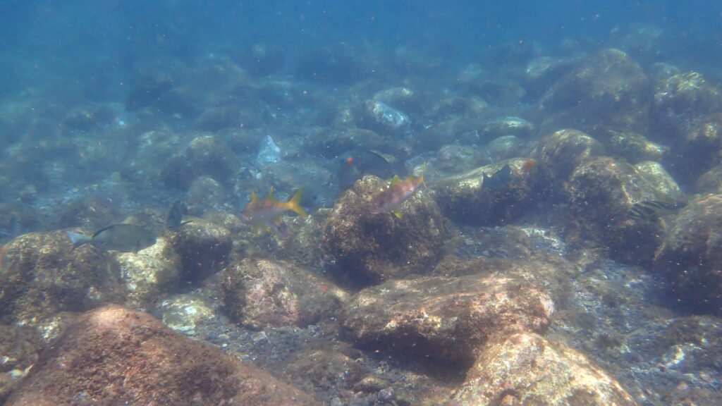
階段が特徴の浜で、足場が良く、少し入り江になっているため波も比較的穏やか。地形はシンプルな岩場だが、ハマフエフキやクロダイ、ホウライヒメジやミギマキなどを見ることができた。アオウミガメが来ることもあるらしい。監視体制や商店はないので自己責任になるが、比較的安全にシュノーケリングを楽しむことができる隠れスポット。

平均的な水深 |0.5~4m
平均的な透明度|7~15m
潮の流れ   |普通
難易度    |★★★☆☆


■ アクセス・駐車場

交通
大島バス波浮港ライン「野増」下車、徒歩約10分。

駐車場
付近に10台ほどの駐車スペースがある。

トイレ・シャワー
駐車場に向かう下り坂の途中に公衆トイレがある。

商店
無し。


■ 見られる生物

来訪したのは1回きりだがハマフエフキが多く見られたのが印象深い。ミギマキやイシガキダイなど、やや珍しい魚も。


コメント